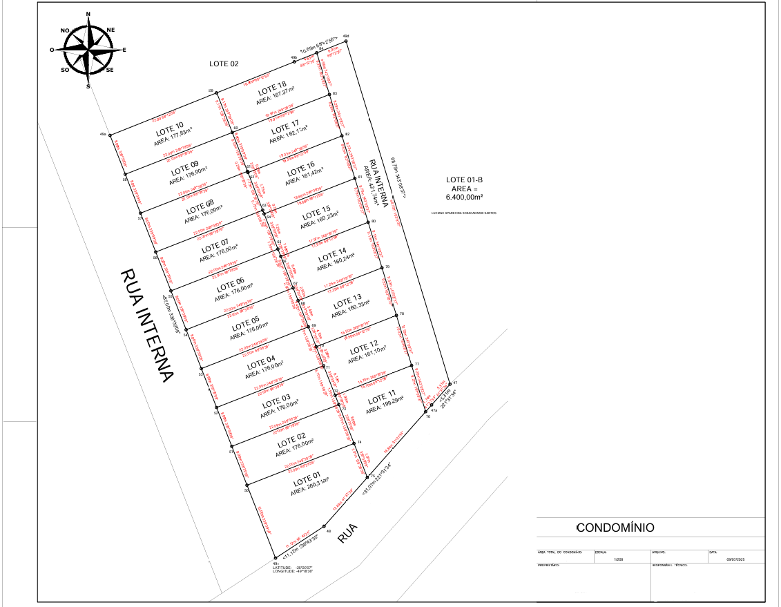
Levantamentos Topográficos Planialtimétricos

 

Realizamos levantamentos de terrenos e áreas, com medições de distâncias horizontais (comprimento e largura) e altimetria (cotas verticais, alturas, curvas de nível) através de drone e equipamentos a laser.

 

Os Projetos topográficos com levantamento de dados de divisas e curvas de nível podem ser utilizados para:

 

  • Reconhecimento de área para elaboração de projeto arquitetônioco de construções novas;
  • Levantamento de dados para masterplan, estudos preliminares, estudo de massas e anteprojetos para empreendimentos;
  • Projetos de reformas;
  • Projetos de terraplanagem (aterros ou cortes de terra);
  • Cadastramento de imóveis junto à prefeitura;
  • Processos de Usucapião;
  • Processos de unificação e subdivisão;
  • Processos de inventários;
  • Processos de retificação administrativa de dimensões e áreas junto ao cartório de Registro de Imóveis;

 

Captura de tela 2025-11-28 120209.png
Captura de tela 2025-11-28 120725.png
DJI_0559-x.JPG
Captura de tela 2025-11-28 120232.png
Captura de tela 2025-11-28 120729.png
Captura de tela 2025-11-28 083013.png